|
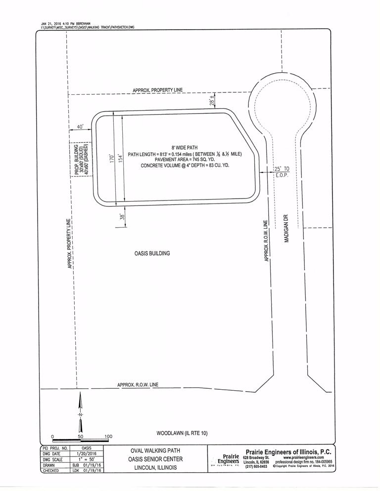
The design work for the path was done by Prairie Engineers of
Illinois, with the construction to be done by Professional Pavement
Maintenance. Work is scheduled to begin on Monday, June 20th with an
expectation that the track will be completed by the early part of
July.
Last week Oasis Director Dom Dalpoas talked about why the Oasis is
building a walking track. He said that it is always the goal of the
Oasis to improve the quality of life for Logan County seniors.
In his role of director, Dalpoas says he receives reports and data
from several senior agencies locally, on the state level, and on the
federal level. Included in all this information there have been
research reports on what seniors want in order to have quality of
life.
In the top three, seniors wish for opportunities to travel, for
ongoing educational opportunities, and they want to work toward
living a healthy lifestyle. Dalpoas said that the Oasis works to
help seniors achieve these goals and more.
 When the Oasis purchased the building on Woodlawn, it underwent a
complete interior remodel. The center offers a huge dining area
where seniors have opportunities to enjoy food events, such as the
monthly potluck lunches where they can share their cooking talents
with others and enjoy having a meal with friends.
The building offers a large social area where tables are set up for
playing cards and enjoying other sit-down activities. In the same
area there is a lovely family room-like area that includes sofa and
chairs and a flat screen television, where folks can sit in a
relaxed atmosphere, visit and enjoy a favorite television show or
sporting event.
In a separate room, the Oasis offers a computer lab, where seniors
can get online and enjoy easy access to information as well as
friends and family through Internet services. There is also
assistance made available for those who want to learn more about how
to navigate through the World Wide Web, or how to use a word
document or spreadsheet. This is an activity that helps answer the
call for greater educational opportunities.
In addition, the Oasis partners with the Lincoln Land Area Agency on
Aging and other entities from time to time to bring special
educational programs to the senior membership.
With their senior bus, Oasis members are often able to take day
trips, enjoying activities such as shopping, dining, or attending a
special show out of town. There are also opportunities offered
through the Area Agency on Aging for seniors to participate in bus
tours to popular tourist locations throughout the country. These
services help answer the call for travel opportunities.
[to top of second column] |

Another fine feature at the Oasis is the workout room that is fully equipped
with low-impact exercise equipment, and there are volunteers who assist with
training in the proper and safe use of all the equipment available.
The exercise room coupled with the new walking trail enhances the quality of
life for local seniors and again, helps meet that noted goal of living a
healthier lifestyle.
Dalpoas said that the Oasis is excited to be able to bring a new offering, but
he stressed that the nearly one-eighth mile track will not be just for seniors.
He said the track will be available to the public. He’s also hopeful that the
track will bring opportunities for families to gather multiple generations for a
fun and healthy activity. Dalpoas envisions a place where seniors can come out
with their kids and grandkids and enjoy walking the track, spending quality time
together, and sharing a common interest.
Dalpoas said that in this project, the short-term goal is to get the track built
and open. In the longer term plans, he hopes to add landscaping, and benches for
sitting and relaxing, creating a more park-like setting that everyone can enjoy.
The Oasis will apply for grants to assist with the full completion of the
walking path plan, but Dalpoas noted grants right now are very uncertain. He’s
hopeful that there will be cash awards in the future that will assist the Oasis
in making the walking track a nice area that will become not only an asset for
the Oasis, but also an asset for the community. And, of course, anyone who would
like to support this new endeavor would be welcome to make a donation to the
Oasis.
[Nila Smith]
 |