|
Aldermen
receive update on new Lincoln Police Station design work
Send a link to a friend
[January 16, 2017]
LINCOLN
- On Tuesday evening, Jack Meyer with FGM Architects presented to
aldermen the completed site plans for the new city of Lincoln Police
Station. The plans represent the completion of phase one of the
design that will transform the former Jefferson School on Fifth
Street into a modern and spacious police department.
|
|
Meyer referred to this first step as the “Schematic design” for
the station and said that phase two is ready to begin and will be
the “Design development” stage of the project.
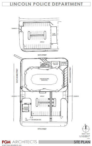
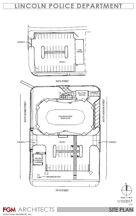
Meyer walked through some of the details of the new site plan for
the facility. He outlined that the lot on the north side of Sixth
Street that goes with the property will be developed into off-street
parking. The plan also includes a five-car garage to be built on
that parcel.

The south side of the building will be the front door, and the lot
in front of the front door will be partially utilized as parking as
well. He noted that the school property comes to the city with some
playground equipment in place. He said in the site design, some of
that playground will remain intact on the southwest corner of the
lot.
The exterior of the school building will not change all that much.
Meyer explained that there would be a low buffer wall built as a
safety measure between the front door and the parking lot. In
addition, a sally port will be built onto the existing building as a
means of safely transitioning prisoners from the squad cars into the
building.
 Reviewing the interior floor plan with the aldermen, Meyers noted
that there were some areas of the drawing that were blacked out. He
said they were security sensitive areas that he would not be
defining publicly. Otherwise, he walked through the floorplan noting
offices for the Chief of Police and Assistant Chief, office area for
officers as well as locker areas, a breakroom, a workout room,
offices for police investigators, storage spaces and a file center,
and a secure entryway and vestibule area.
[to top of second column] |

The building will maintain its circular floor plan with the center of the
building being a training room.
Speaking about the entryway and vestibule, Todd Mourning noted that there is no
plan for personnel to be in that area. He wondered if that was secure. Meyer
said that the main file room would be adjacent to the vestibule and there will
be a glass window where visitors may speak to the person in that room. He said
additionally, the room will be secured with cameras for observation.

Beyond the vestibule, Meyer explained there would also be a secondary safe area
before entering the actual police station. He talked about how this might be
used in the case someone came into the station, fleeing from a pursuer. That
person would be admitted into the secondary area with the doors locking behind
them so no one else could gain access from the street without police department
authorization. This would provide the person fleeing with a safe location
without actually being inside the police station’s officer area.
Meyer said that he has had frequent meetings with the city in reaching this
point in the design, and will continue to have such meetings throughout the
phase two process.
He said phase two would involve more design details, such as door hardware and
security hardware. He said that this part of the planning is tedious, and
offered as an example he had already spent one three-hour meeting with city
officials just studying the door hardware and making selections.
Meyer said that the timeline for the design completion is on track to have the
plans ready to go out for bid around the first of April. Working with that
schedule, he said work on the building could begin as soon as this summer.
[Nila Smith] |