|
MH370 search data unveils fishing hot
spots, ancient geological movements
Send a link to a friend
[July 19, 2017]
By Tom Westbrook and Jonathan Barrett
SYDNEY (Reuters) - Detailed sea-floor maps made during the unsuccessful
search for missing Malaysia Airlines Flight MH370, released by Australia
on Wednesday, could help increase the knowledge of rich fisheries and
the prehistoric movement of the earth's southern continents.
The Indian Ocean search ended in January after covering a lonely stretch
of open water where under-sea mountains larger than Mount Everest rise
and a rift valley dotted with subsea volcanoes runs for hundreds of
kilometers.
The whereabouts of the plane, which vanished in March 2014 en route to
Beijing from Kuala Lumpur with 239 people on board, remains one of the
world's greatest aviation mysteries.
However, information gathered during painstaking surveys of some 120,000
sq km (46,000 sq miles) of the remote waters west of Australia should
provide fishermen, oceanographers and geologists insight into the region
in unprecedented detail, said Charitha Pattiaratchi, professor of
coastal oceanography at the University of Western Australia.

"There are the locations of seamounts which will attract a lot of
international deep sea fishermen to the area," Pattiaratchi told Reuters
by phone.
High-priced fish such as tuna, toothfish, orange roughy, alfonsino and
trevally are known to gather near the seamounts, where plankton swirl in
the currents.
Pattiaratchi said the location of seamounts would also help model the
impact of tsunamis, given undersea mountains help dissipate their
destructive energy, and potentially change our understanding of the
break-up of the ancient supercontinent of Gondwana.
The data consists of three-dimensional models of undersea landforms as
well as raw bathymetric survey information and drift analysis. It was
published online by Geoscience Australia on Wednesday, with a further
tranche due to be published next year.
"To see this work come out of that tragedy that was MH370 is really
quite astounding, they've taken it to a new level," said Martin Exel, a
commercial deep-sea fisherman at Austral Fisheries who has fished in the
area.
"From a fishing perspective it would be valuable information - they've
found whale bones and cables and a drum, it is incredible the
resolution," he said, referring to the data.
[to top of second column] |

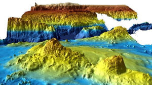
An undated supplied image from Geoscience Australia shows a computer
generated three-dimensional view of the sea floor obtained from
mapping data collected during the first phase of the search for
missing Malaysia Airlines flight MH370. Commonwealth of Australia
(Geoscience Australia)/Handout via REUTERS

But the expense and difficulty of operating in such remote high seas
made a rush to fill nets in the area unlikely, he said.
Stuart Minchin, chief of Geoscience Australia's environmental
geoscience division, said the remote search area was now among the
most thoroughly mapped regions of the deep ocean on the planet.
"It is estimated that only 10 to 15 percent of the world's oceans
have been surveyed with the kind of technology used in the search
for MH370," Minchin said.
Investigators believe someone may have deliberately switched off
MH370's transponder before diverting it thousands of miles off
course, out over the Indian Ocean.
Various pieces of debris have been collected from Indian Ocean
islands and Africa's east coast and at least three of them have been
confirmed as coming from the missing Boeing 777.
Australia has not ruled out resuming the search for the airliner but
has said that would depend on finding "credible new evidence" about
the plane's whereabouts.
"No new information has been discovered to determine the specific
location of the aircraft and the underwater search remains
suspended," Transport Minister Darren Chester said in a statement.
(Reporting by Tom Westbrook and Jonathan Barrett; Editing by Paul
Tait, Robert Birsel)
[© 2017 Thomson Reuters. All rights
reserved.]
Copyright 2017 Reuters. All rights reserved. This material may not be published,
broadcast, rewritten or redistributed.
 |